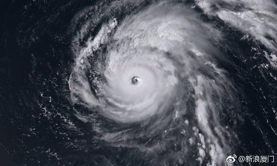
[#台风玛莉亚#台风速递]今年第8号台风“玛莉亚”6日早晨就已加强为超强台风,成为了#今年西北太平洋上的风王#,目前强度维持超强台风。
预“玛莉亚”将以每小时20-25公里的速度向西偏北方向移动,逐渐向台湾以东洋面靠近,将于11日早晨前后登陆或擦过台湾东北部,并于11日白天在福建中部到浙江南部沿海再次登陆(台风级或强台风级,12-14级,33-42m/s)。登陆后继续向西北方向移动,强度快速减弱。
受其影响,9日晚上开始,东海、台湾以东洋面自东向西风力将逐渐加大。之后到12日,东海中南部、台湾以东洋面、台湾海峡,台湾沿海、福建沿海、浙江沿海将先后有7-9级大风,其中的部分海域风力可达13-15级。
降雨方面,10日白天开始,台湾中北部、福建北部及浙江南部的沿海地区雨势先后开始增强,11日随着“玛莉亚”到来,浙江南部、福建北部、江西东部等地也将有暴雨到大暴雨。
11-12日可能是台风影响华东地区最主要的时段。





责任编辑: GDN007